Homeowner’s Guide to Waterfront Living

Cobbosseecontee Lake, Maple Ridge Island

119 Maple Ridge Drive, Monmouth, Maine 04259-7334

 

Hosted By: mapleridgelive.com

 

Survey Lot Numbering Error

 

Main Menu         

 

Information

 

Photo Galleries

 

Procedures

 

Systems

 

Δ

 

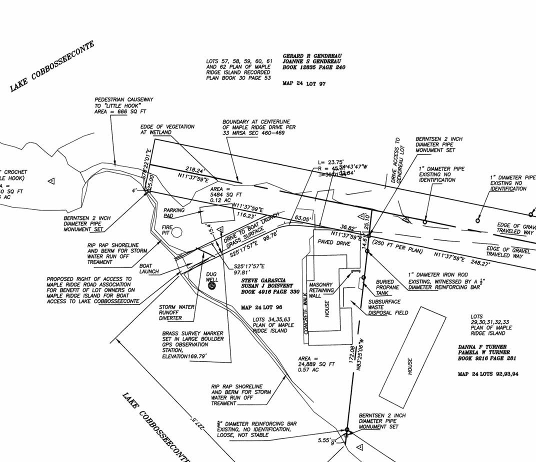
The Lot Numbering Error

 

Lot #95 is incorrectly identified as Lot #96 on the Registered Survey as filed with the Kennebec County Registry of Deeds on November 1, 2018 as listed in Book # 2018 on Page # 139. 

 

Δ

 

The Portion of the Lot #95 Survey incorectly identified as Lot  #96.

(See the magnified Survey Image below to view the incorrect Lot Number 96)

 

Magnified Section

 

hyyy

The Survey registration detail Book 2018 Page 139

Kennebec County Registry of Deeds

 

 

Δ

 

The Correct Lot Number 95

 

119 Maple Ridge Drive is described on Monmouth, Maine Tax Map #24 as Lot #95 witch include the combined Lots numbered, #34, 35, and 63 on the original  Clifford L. Swan Co. Plan  filed on July 26, 1965, in Book #30 on Page #53 and as identified on the Garascia – Boisvert Deed recorded in Book 4916 on Page 330 as noted on the survey.

 

Go to the: 2018 Survey Page, Lot #95, and North End of Road

Download the complete 2018 Survey of Lot #95, and the North end of Road

Download the Current Registered Deed for Lot #95

 

See the: Maine Superior Court Decree that attaches Petit Crochet to The Deed.

 

Δ

 

Portion of the Monmouth Tax Map #24

 

This portion of Monmouth, Maine Tax Map #24 indicating that the last lot on the Northwest side of Maple Ridge Drive is the Modern Lot #95 which includes the Legacy  Lots #34, 35 and 63 from Clifford L. Swan Co. Plan.

 

 

Δ

 

Page File Information:

G:\MRL\119MRD_WS\119_Maple_Ridge_Drive_Location\Lot_95\Lot95_SurveyNumberingError.htm

End of Page